סופת ההוריקן "מליסה", הסופה החזקה ביותר שנמדדה השנה בעולם, מתקרבת בשעות אלה לחופי ג'מייקה כשהיא מוגדרת הוריקן בדרגה 5, וצפויה להיות הסופה החזקה ביותר שהיכתה באי מאז תחילת הרישומים לפני 174 שנה. רוחות וגשמים עזים כבר פוקדים את המדינה הקריבית וסביבתה, ועד עתה דווח על שלושה הרוגים, בג'מייקה, שלושה בהאיטי ואחד ברפובליקה הדומיניקנית, שם יש גם נעדר.
צוות מילואים מטייסת הסיור המטאורולוגי ה-53 של חיל האוויר האמריקני, שאנשיה מכונים "ציידי ההוריקנים", טס אתמול בסמוך לעין הסופה וצילם אותה, במסגרת משימת איסוף נתונים עבור המרכז הלאומי לחיזוי הוריקנים. צפו בתיעוד:
תיעוד מתוך עין הסופה: הוריקן מליסה מכה בקריביים
(מרויטרס)
10 צפייה בגלריה


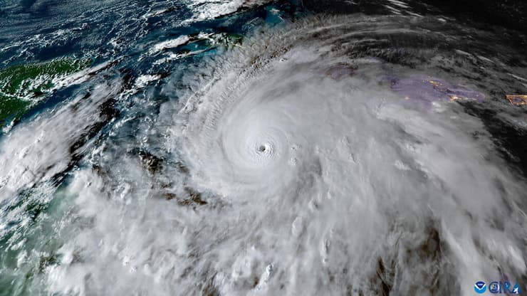
הסופה מליסה בצילום מהלוויין. דרגה 5 והתקדמות של 4 קמ"ש הן שילוב קטלני
(צילום: CSU/CIRA & NOAA/Handout via REUTERS)
10 צפייה בגלריה


נערכים להגעת הסופה במקלט בג'מייקה. גם בתים שנבנו היטב עלולים שלא לעמוד בעוצמת הרוחות
(צילום: AP Photo/Matias Delacroix)
ממשלת ג'מייקה מסרה הלילה (בין שני לשלישי) כי עשתה את כל ההכנות האפשריות לסופה ולא תוכל לעשות מעבר לכך, והזהירה את התושבים מנזק קטסטרופלי שעלול להיווצר. "אין באזור שלנו שום תשתית שיכולה לעמוד בהוריקן בדרגה 5", אמר ראש הממשלה אנדרו הולנס, "והשאלה האמיתית היא מהירות השיקום. זה האתגר".
נכון לשעות הבוקר (שעון ישראל) הייתה מליסה במרחק של כ-240 ק"מ מקינגסטון שבג'מייקה וכ-530 ק"מ מגואנטנמו שבקובה. הסופה מביאה איתה רוחות במהירות של 280 קמ"ש ומתקדמת בקצב של 4 קמ"ש. דרגה 5, דרגתה של "מליסה", היא הדרגה הגבוהה ביותר בסולם ספיר-סימפסון שבו מודדים הוריקנים, וסופות המשתייכות אליה יכולות לגרום נזק כבד ביותר גם למבנים שנבנו היטב. השילוב בין עוצמתה האדירה של "מליסה" להתקדמותה האיטית הוא שילוב קטלני שעלול להגביר את ההרס.
10 צפייה בגלריה


בקינגסטון וערים אחרות בג'מייקה כבר מרגישים את הרוחות העזות
(צילום: Ricardo Makyn / AFP)
לקראת הגעת הסופה עצמה דווח על קריסת עצים ועל הפסקות חשמל בג'מייקה, וגובה פני הים סביב מדינת האי צפוי לעלות בעד ארבעה מטרים. הרשויות חוששות מפגיעה בבתי חולים השוכנים בסמוך לחופים, ומטופלים הועברו בהם מקומת הקרקע לקומה השנייה מחשש להצפות. לפי דיווחים, אף שממשלת ג'מייקה הוציאה הודעות פינוי ליישובים המועדים לשיטפונות, המונים החליטו להישאר במקומם ולתפוס מחסה היכן שהם.
בהמשך היום צפוי הוריקן מליסה להגיע גם למזרח קובה, ובחלק מהאזורים במדינה צפויים עד 51 סנטימטרים של גשם. שלטונות קובה הודיעו אתמול כי החלו לפנות יותר מ-600 אלף איש מאזורי הסכנה, בין השאר מסנטיאגו, העיר השנייה בגודלה במדינה. ביום רביעי צפויה הסופה להגיע לאיי בהאמה ומשם להמשיך לאיי טרקס וקייקוס.
מומחים מציינים כי מבין סופות ההוריקן שנוצרו באוקיינוס האטלנטי בעונת ההוריקנים הנוכחית "מליסה" היא הרביעית שמתעצמת במהירות דרמטית והופכת בחדות מסופה טרופית להוריקן. "לא היו הרבה הוריקנים באוקיינוס האטלנטי העונה, אבל חלק לא שגרתי מהם התעצמו במהירות די גבוהה", הסביר מדען האקלים קרי עמנואל מאוניברסיטת MIT. אף שקשה לקבוע אם אירוע מסוים קשור ישירות לשינויי האקלים שגורם האדם, מדענים חשים בטוחים יותר בהשפעה שיש לשינויים אלה כשהם מזהים מגמה, ולדברי עמנואל "ייתכן מאוד שמדובר כאן בסימן להשפעה הכללית של שינויי האקלים".
כאשר פני הים חמים יותר הם טוענים את הסופות בעוצמה רבה יותר, והסופה "מליסה" באופן ספציפי עברה מעל מים בטמפרטורה שנעשתה חמה יותר ב-1.4 מעלות צלזיוס בגלל שינויי האקלים. כאשר האוקיינוסים חמים יותר, הדבר גם גורם לסופות להביא איתן משקעים רבים יותר, ובסופות כמו "מליסה" צפויות בגלל שינויי האקלים כמויות גשם הגדולות ב-50-25% מהרגיל.














